Fresh Onset Fishing Reports

Donโ€™t miss whatโ€™s biting. Check out the latest catches from local anglers.

Destination Banner

Weather Forecast, Onset

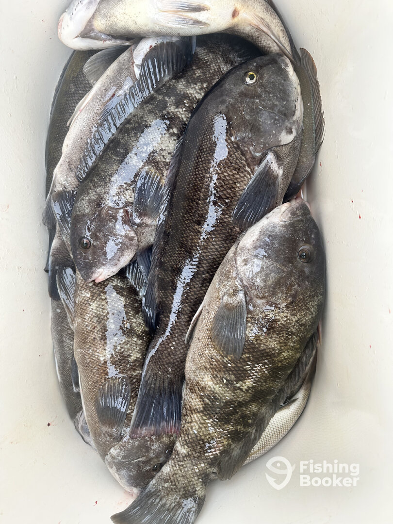
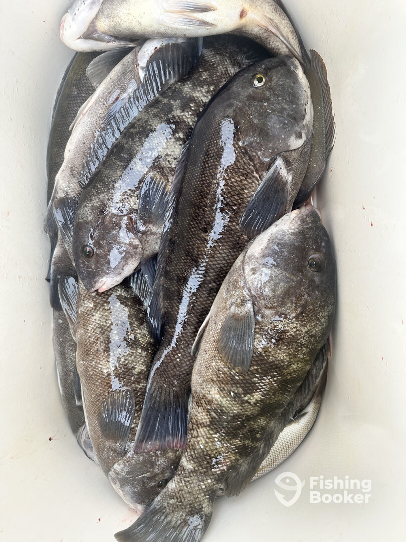
Latest Fishing Photos and Videos

What anglers said about fishing in Onset

As a 1st timer all i say is to enjoy the experience and not to expect huge fishes. Just expect a great time. Fishing is about a good time with friends and family.
Excellent
5.0 / 5
As a 1st timer all i say is to enjoy the experience and not to expect huge fishes. Just expect a great time. Fishing is about a good time with friends and family.
FishLinked Charters โ€“ 32'
FishLinked Charters โ€“ 32'
Warm water temps kept the big fish out to sea, but for a 4 hour trip in July in the canal it is what I expected, and the captain was able to keep the fish bite going for 4 anglers the whole time.
Excellent
5.0 / 5
Warm water temps kept the big fish out to sea, but for a 4 hour trip in July in the canal it is what I expected, and the captain was able to keep the fish bite going for 4 anglers the whole time.
FishLinked Charters โ€“ 32'
FishLinked Charters โ€“ 32'
Book a charter with a good captain and you will catch what you are targeting
Excellent
5.0 / 5
Book a charter with a good captain and you will catch what you are targeting
Keepinโ€™ It Reel Charters
Keepinโ€™ It Reel Charters Troy, NY
I would recommend Keepin' It Reel Charters and Captain Timmy. There may be other great companies there but my experience with Keepin' It Real Charters and Captain Timmy is the best I have ever had.
Excellent
5.0 / 5
I would recommend Keepin' It Reel Charters and Captain Timmy. There may be other great companies there but my experience with Keepin' It Real Charters and Captain Timmy is the best I have ever had.
Keepinโ€™ It Reel Charters
Keepinโ€™ It Reel Charters Providence, Rhode Island
Finishing was great in Sandwich! We caught 10 stripped bass, 3 of which were large enough to take home and eat. Would highly recommend coming to Sandwich to fish at this time if you are finishing for stripped bass.
Excellent
5.0 / 5
Finishing was great in Sandwich! We caught 10 stripped bass, 3 of which were large enough to take home and eat. Would highly recommend coming to Sandwich to fish at this time if you are finishing for stripped bass.
Keepinโ€™ It Reel Charters
Keepinโ€™ It Reel Charters
Wait till the second or third week in May when the water is a little warmer.
Excellent
5.0 / 5
Wait till the second or third week in May when the water is a little warmer.
FishLinked Charters โ€“ 27'
FishLinked Charters โ€“ 27'