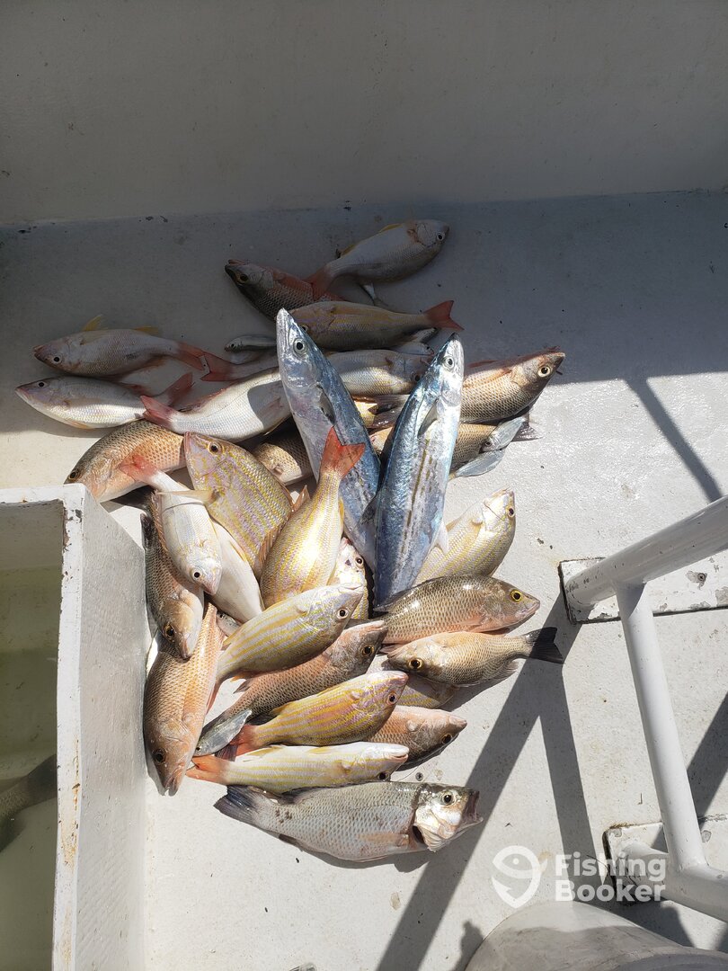
Great day of fishing with Daniel and his
January 29, 2025
San Pedro
2 photos


Sierra Mackerel

Snapper (Lane)

Snapper (Mangrove)
Trip Summary
Trip Summary
Today was a fantastic day of fishing